Porzione di bifamiliare in vendita

Cento, Via Correggio - Casumaro
€ 199.000
3 locali 3 locali
173 Mq 173 Mq
1 bagno 1 bagno

Porzione di bifamiliare in vendita

Cento, Via Correggio - Casumaro

Descrizione annuncio

Via Correggio taglia la pianura con la calma di una strada che non ha fretta.
Unisce Cento ai suoi paesi, tra officine, cortili e case nate per restare.
Qui una bifamiliare del 2003 racconta una storia di misura, solidità e indipendenza.

La porzione autonoma abita il piano sottotetto: si posa sopra parte dell’altra metà della villa come un livello distinto, vicino ma separato, con luce e silenzio propri.
Dal lato della casa una porta introduce a una scala privata, che conduce al piano superiore interamente mansardato.
Una mansarda abitabile, con solaio in laterocemento intonacato, pareti chiare e finestre che catturano la luce della campagna di Casumaro.
Ambienti asciutti, proporzioni coerenti, nessuna finzione.

Il piano raccoglie una zona giorno con angolo cottura, due camere e un bagno finestrato: tutto ciò che serve, disposto con logica e sobrietà.
Dal soggiorno una piccola porticina conduce a un sottotetto utile, perfetto per riporre oggetti e ricordi – discreto, funzionale, invisibile ma prezioso nella vita di ogni giorno.

Al piano terra un vano indipendente di circa 34 m², oggi laboratorio, aggiunge possibilità: cantina, taverna, studio, atelier o stanza personale, secondo il proprio modo di vivere lo spazio.
È qui che la casa cambia ritmo: offre libertà d’uso che altre non possono offrire.

Sul fronte, aderente alla casa, si apre il portico in mattoni a vista, con travi levigate e protette nel 2025 da impregnanti idrorepellenti.
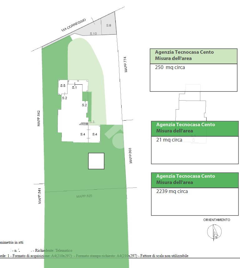
Da lì, il giardino privato di circa 250 mq si estende in avanti, dalla porta della scala fino al portico, seguendo un andamento curvo che accompagna il perimetro e delimita con naturalezza il confine tra le due unità.
Un verde semplice, ordinato e misurato che la separa dall’altra porzione: il minimo che basta.

Le spese comuni sono minime - solo passo carraio e manutenzioni ordinarie - mentre la costruzione, curata e coerente, conferma la solidità dell’intero fabbricato.

Solida e sincera, è una casa adatta a chi desidera autonomia, misura e spazio per disegnare la propria direzione, e vivere in un contesto raccolto e autentico, dove ogni dettaglio ha ancora un senso.
Una casa che non promette: permette.

Per informazioni o per vivere questa casa dal vivo, contattaci.
Le sensazioni che trasmette non si spiegano: si provano.

Mostra tutto

Nelle vicinanze

Trasporto pubblico Trasporto pubblico
Casumaro Bar Mexico
Casumaro Bar Mexico
310 m
Casumaro Poste
Casumaro Poste
360 m
Scuole Scuole
Scuola Media
700 m
Scuola Elementare
750 m
I.C. 4 Corporeno
2,5 Km
Farmacia Farmacia
Farmacia Accorsi
350 m
Supermercati Supermercati
Coop Casumaro
320 m
Ristoranti Ristoranti
Al Tiglio
2,2 Km
Da Ianni
2,5 Km
Mostra tutto

Caratteristiche

Rif.:
61138969
Piano:
1 di 1 (Piano mansarda)
Posti auto:
1
Camere da letto:
2
Arredamento:
Assente
Condizionamento:
Autonomo
Mostra tutto
Prezzo Prezzo
€ 199.000
Rata mutuo Rata mutuo
€ 945 / mese
Spese annue Spese annue
€ 100
Proponi il tuo prezzoProponi il tuo prezzo

Classe Energetica

F
F
F
F
F
F
F
F
F
EP globale non rinnovabile:
207.17 kW h/m² anno
EP globale rinnovabile:
7.34 kW h/m² anno
EP invernale del fabbricato:
EP estiva del fabbricato:
Anno di costruzione:
2003
Riscaldamento:
Autonomo
Tipo impianto:
A radiatori
Tipo alimentazione:
Metano

Ti interessa visionare l'immobile?

Fissa un appuntamento  Fissa un appuntamento

Richiedi informazioni

Clicca su Leggi per aprire l'informativa
* Questi campi sono obbligatori

Calcola il tuo mutuo

Semplice e senza impegno
Anticipo

( % )
Mutuo

( % )

pochi semplici passi

inserisci i tuoi dati
Questionario completato
Grazie per aver richiesto un appuntamento senza impegno con un nostro Consulente del Credito e Assicurativo.

Hai inserito correttamente tutti i dati necessari e a breve riceverai una e-mail con un link da convalidare per inviare i tuoi dati.
Affiliato
Bottega Immobiliare Srl
Corso Guercino, 11/A 44042 Cento (FE)

Il nostro staff


  • Piero Fiocchi
    Affiliato

  • Angela Renna
    Responsabile

  • Anisha Chunnoo
    Coordinatrice

  • Nella Comu
    Collaboratrice

  • Davide Manservisi
    Collaboratore
Corso Guercino, 11/A 44042 Cento (FE)
Zona: Cento-Corporeno-Renazzo
Mostra su mappa
Orari: giorni feriali dalle 9 alle 13 e dalle 15 alle 20. Sabato chiusura ore 18 (ore 13 luglio e agosto)
Affiliato
Bottega Immobiliare Srl
Corso Guercino, 11/A 44042 Cento (FE)

2026 Tecnocasa Franchising S.p.A. - P. IVA 08365160152 - Via Monte Bianco 60/A 20089 Rozzano (MI). Ogni agenzia ha un proprio titolare ed è autonoma. Privacy policy | Policy utilizzo | Cookie policy