Porzione di bifamiliare in vendita

Cento, Via Correggio - Casumaro
€ 260.000
3 locali 3 locali
214 Mq 214 Mq
2 bagni 2 bagni

Porzione di bifamiliare in vendita

Cento, Via Correggio - Casumaro

Descrizione annuncio

Ci sono case progettate solo per contenere e altre pensate anche per aprirsi.
Questa appartiene a entrambe le categorie: una porzione indipendente, disposta interamente al piano terra, dove ogni finestra guarda verso il verde e ogni spazio trova respiro.
Non chiude, ma si apre: alla luce, al silenzio, al ritmo del suo giardino.

La costruzione, una bifamiliare del 2003, è solida, proporzionata, senza tempo.
L’ingresso è autonomo, sotto un portico in mattoni a vista, restaurato nel 2025 levigando le travi di legno e trattandole con impregnanti protettivi.
Superata la soglia, si entra in un ampio soggiorno con camino, luminoso e centrale: il cuore della casa.
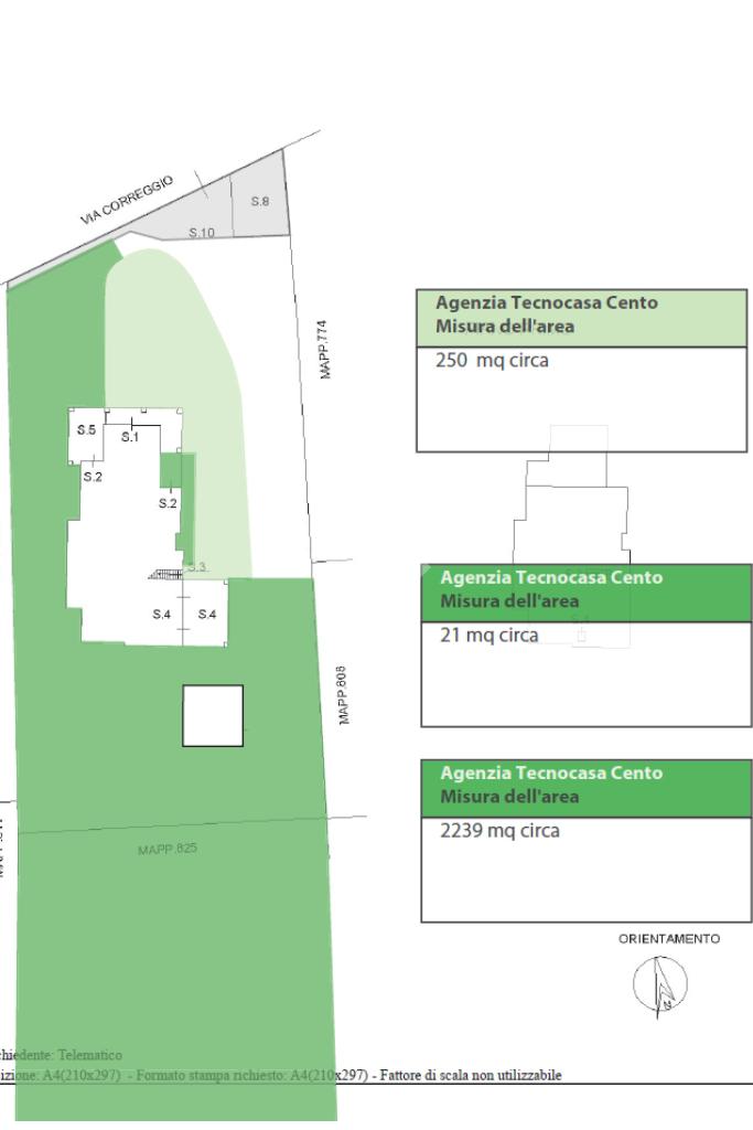
Da qui si accede alla cucina abitabile, separata ma vicina, con affaccio su una porzione di giardino di circa 20 mq - uno spazio privato che protegge la vista e la quiete, separandola con naturalezza dall’altra porzione della villa.

Il riscaldamento a pavimento diffonde calore uniforme e silenzioso, mentre l’impianto di aspirazione centralizzato sostituisce l’aspirapolvere tradizionale: basta collegare il tubo a una delle prese a muro, e la polvere viene convogliata nella centrale posta nel garage, senza rumore e senza ricircolo nell’ambiente.

La zona notte ospita due camere matrimoniali, entrambe con cabina armadio, bagno finestrato e lavanderia.
Ambienti asciutti, razionali, coerenti, pensati per durare.

Sul lato, il giardino privato accompagna la casa fino al confine e poi si apre verso il parco retrostante, quasi a prolungarne la quiete, per complessivi 2.239 m² di area esterna.
Un verde regolare e curato, che non delimita ma estende: uno spazio da vivere, non solo da guardare.
Nel terreno sul retro rimane anche un piccolo diritto edificatorio residuo, oggi simbolico ma segno di un potenziale futuro.

Completano la proprietà un garage per due auto, una grande cantina esterna e posti auto.
Le spese comuni sono minime, la costruzione coerente, la sensazione quella di un luogo stabile, misurato, affidabile.

Una casa che non ostenta, ma accoglie con naturalezza.
Perfetta per chi cerca spazio reale, libertà d’uso e continuità tra casa e verde:
un luogo dove la solidità incontra la luce, e il tempo scorre con la giusta lentezza.

Per informazioni o per visitarla, contattaci.
Il suo valore non si racconta: si attraversa.

Mostra tutto

Nelle vicinanze

Trasporto pubblico Trasporto pubblico
Casumaro Bar Mexico
Casumaro Bar Mexico
310 m
Casumaro Poste
Casumaro Poste
360 m
Scuole Scuole
Scuola Media
700 m
Scuola Elementare
750 m
I.C. 4 Corporeno
2,5 Km
Farmacia Farmacia
Farmacia Accorsi
350 m
Supermercati Supermercati
Coop Casumaro
320 m
Ristoranti Ristoranti
Al Tiglio
2,2 Km
Da Ianni
2,5 Km
Mostra tutto

Caratteristiche

Rif.:
61138968
Piano:
Terra di 1
Totale piani:
1
Box:
2
Posti auto:
2
Camere da letto:
2
Mostra tutto
Prezzo Prezzo
€ 260.000
Rata mutuo Rata mutuo
€ 1.235 / mese
Spese annue Spese annue
€ 100
Proponi il tuo prezzoProponi il tuo prezzo

Classe Energetica

F
F
F
F
F
F
F
F
F
EP globale non rinnovabile:
207.17 kW h/m² anno
EP globale rinnovabile:
7.34 kW h/m² anno
EP invernale del fabbricato:
EP estiva del fabbricato:
Anno di costruzione:
2003
Riscaldamento:
Autonomo
Tipo impianto:
A pavimento
Tipo alimentazione:
Metano

Ti interessa visionare l'immobile?

Fissa un appuntamento  Fissa un appuntamento

Richiedi informazioni

Clicca su Leggi per aprire l'informativa
* Questi campi sono obbligatori

Calcola il tuo mutuo

Semplice e senza impegno
Anticipo

( % )
Mutuo

( % )

pochi semplici passi

inserisci i tuoi dati
Questionario completato
Grazie per aver richiesto un appuntamento senza impegno con un nostro Consulente del Credito e Assicurativo.

Hai inserito correttamente tutti i dati necessari e a breve riceverai una e-mail con un link da convalidare per inviare i tuoi dati.
Affiliato
Bottega Immobiliare Srl
Corso Guercino, 11/A 44042 Cento (FE)

Il nostro staff


  • Piero Fiocchi
    Affiliato

  • Angela Renna
    Responsabile

  • Anisha Chunnoo
    Coordinatrice

  • Nella Comu
    Collaboratrice

  • Davide Manservisi
    Collaboratore
Corso Guercino, 11/A 44042 Cento (FE)
Zona: Cento-Corporeno-Renazzo
Mostra su mappa
Orari: giorni feriali dalle 9 alle 13 e dalle 15 alle 20. Sabato chiusura ore 18 (ore 13 luglio e agosto)
Affiliato
Bottega Immobiliare Srl
Corso Guercino, 11/A 44042 Cento (FE)

2026 Tecnocasa Franchising S.p.A. - P. IVA 08365160152 - Via Monte Bianco 60/A 20089 Rozzano (MI). Ogni agenzia ha un proprio titolare ed è autonoma. Privacy policy | Policy utilizzo | Cookie policy